نهتم بعروضكم وطلباتكم

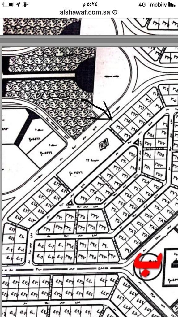
اعلان رقم 163 التاريخ 19-10-25



الاراضي للبيع الحي حى الرياض بالاحساء


مخطط 474/19 قطعة رقم ٣١٧/ ب
المساحة 750 متر مربع
شارع عرض 40 متر نافذ ٦
السعر الحد 130 الف











عدد المشاهدات : 694




للاستفسار جوال :: :: للاستفسار جوال

علي الحمود علي الحمود المكتب المكتب

عروضنا أمام عينيك وحقوقنا أمانه لديك
الحي
الوصف
السعر
الاراضي للبيع
التفاصيل
810 متر مربع
شرقا : شارع عرض 27.5 متر بطول 27 متر وشمالا : قطعه 507 بطول 30 متر وجنوبا : قطعه 504 بطول 30 متر
على السوم

اعلان 282
الضاحية للبيع
التفاصيل
775
150 الف

اعلان 216
الاراضي للبيع
التفاصيل
840 متر مربع
شارع عرض 30 متر ونافذ 6 متر
السوم 140 الف

اعلان 202
الاراضي للبيع
التفاصيل
775 متر مربع
شارع عرض 15 متر شمالا - وشارع عرض 15 متر غربا
الحد 130 الف

اعلان 167
الاراضي للبيع
التفاصيل
791 متر مربع
شارع عرض 30 متر ونافذ عرض 6 متر
الحد 125 الف

اعلان 166
الاراضي للبيع
التفاصيل
750 متر مربع
شارع عرض 40 متر
الحد 130 الف

اعلان 165
الاراضي للبيع
التفاصيل
750 متر مربع
شارع عرض 30 متر
الحد 125 الف

اعلان 164
الاراضي للبيع
التفاصيل
750 متر مربع
شارع عرض 40 متر نافذ ٦
الحد 130 الف

اعلان 163

عدد الزائرين :177 ​