نهتم بعروضكم وطلباتكم

اعلان رقم 214 التاريخ 20-07-01



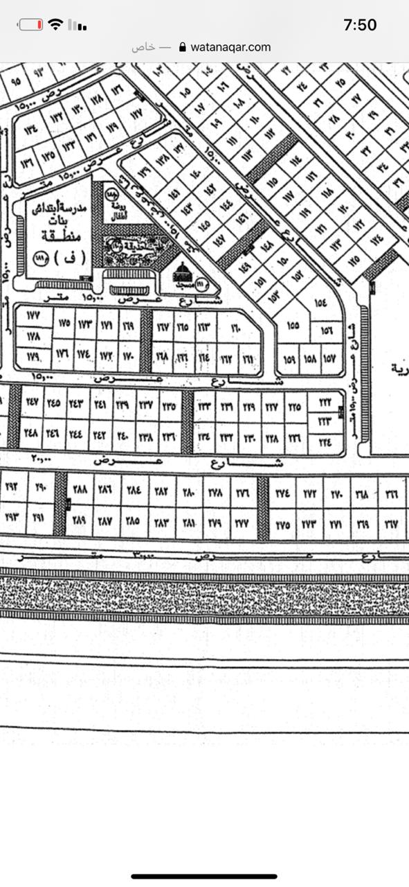
الاراضي للبيع الحي حى الورود بالاحساء


ارض الورود رقم الارض 280/ف رقم المخطط 1100/4 شمالأ:شارع 20
المساحة 752.4
شمالأ : شارع20
السعر على السوم


الانتقال الي الموقع مشاركة الموقع




الانتقال الي الموقع مشاركة الموقع



عدد المشاهدات : 533




للاستفسار جوال :: :: للاستفسار جوال

علي الحمود علي الحمود

عروضنا أمام عينيك وحقوقنا أمانه لديك
الحي
الوصف
السعر
الاراضي للبيع
التفاصيل
802 متر مربع
شمالا : شارع عرض 20 متر بطول 27 وجنوبا : قطعه 127 بطول 27 متر وشرقا : قطعه 124 بطول 30 متر وغربا شارع عرض 15 بطول 30 متر
على السوم

اعلان 272
الاراضي للبيع
التفاصيل
752.4
شمالأ : شارع20
على السوم

اعلان 214
الاراضي للبيع
التفاصيل
736 متر مربع
شارع عرض 24 متر
170 الف

اعلان 181
الاراضي للبيع
التفاصيل
787 متر مربع
شارع عرض 15 متر
سوم 170 الف

اعلان 169

عدد الزائرين :174 ​